Katrina 2005

Time Polar-FULL GOES-FULL Polar-M01 Polar-M02 Polar-M04 GOES-M04
2005 08 23 2209 UTC – N15 Polar-FULL2209 GOES-FULL2209 Polar-M012209 Polar-M022009 Polar-M042209 GOES-M042209
2005 08 24 0620 UTC – AQA Polar-FULL0620 GOES-FULL0620 Polar-M010620 Polar-M020620 Polar-M040620 GOES-M040620
2005 08 24 1027 UTC – N15 Polar-FULL1027 GOES-FULL1027 Polar-M011027 Polar-M021027 Polar-M041027 GOES-M041027
2005 08 24 1545 UTC – TER Polar-FULL1545 GOES-FULL1545 Polar-M011545 Polar-M021545 Polar-M041545 GOES-M041545
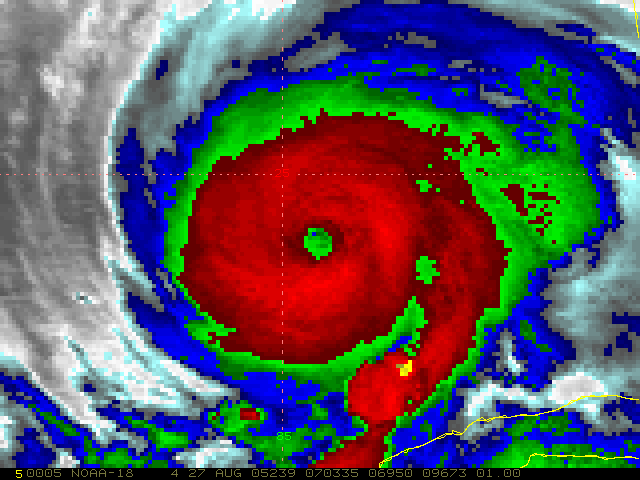
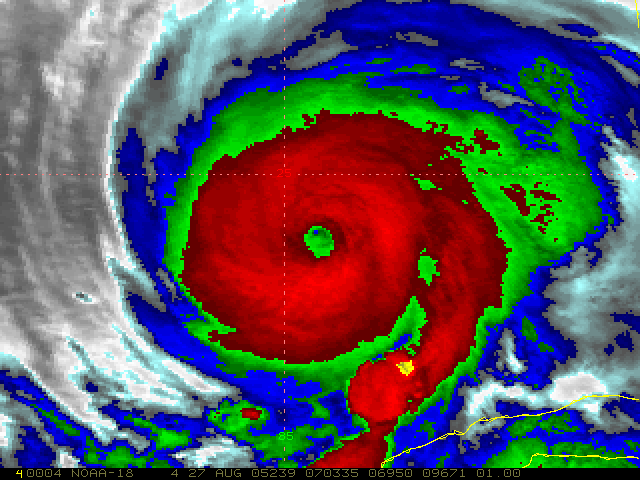
2005 08 24 1851 UTC – N18 Polar-FULL1851 GOES-FULL1851 Polar-M011851 Polar-M021851 Polar-M041851 GOES-M041845
2005 08 24 1855 UTC – AQA Polar-FULL1855 GOES-FULL1855 Polar-M011855 Polar-M021855 Polar-M041855 GOES-M041855
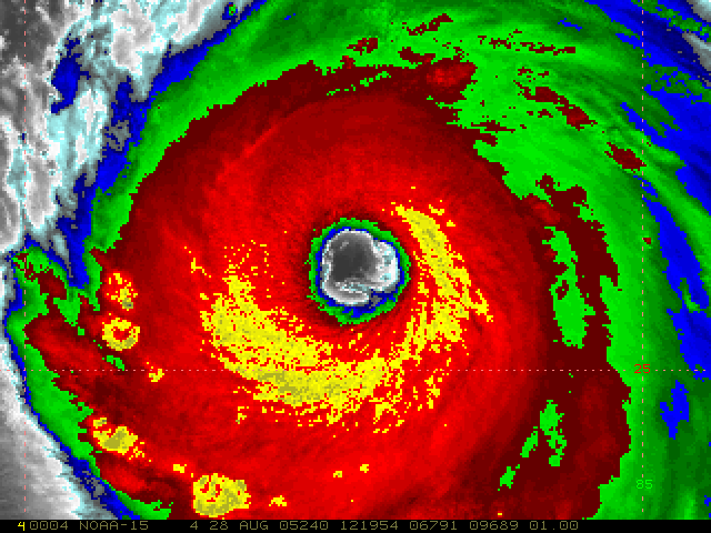
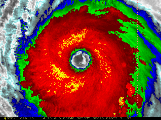
2005 08 24 2327 UTC – N15 Polar-FULL2327 GOES-FULL2327 Polar-M012327 Polar-M022327 Polar-M042327 GOES-M042327
2005 08 25 0700 UTC – AQA Polar-FULL0700 GOES-FULL0700 Polar-M010700 Polar-M020700 Polar-M040700 GOES-M040700
2005 08 25 0721 UTC – N18 Polar-FULL0721 GOES-FULL0721 Polar-M010721 Polar-M020721 Polar-M040721 GOES-M040721
2005 08 25 1630 UTC – TER Polar-FULL1630 GOES-FULL1630 Polar-M011630 Polar-M021630 Polar-M041630 GOES-M041630
2005 08 25 1800 UTC – AQA Polar-FULL1800 GOES-FULL1800 Polar-M011800 Polar-M021800 Polar-M041800 GOES-M041800
2005 08 25 1839 UTC – N18 Polar-FULL1839 GOES-FULL1839 Polar-M011839 Polar-M021839 Polar-M041839 GOES-M041839
2005 08 25 2303 UTC – N15 Polar-FULL2303 GOES-FULL2303 Polar-M012303 Polar-M022303 Polar-M042303 GOES-M042303
2005 08 26 0325 UTC – TER Polar-FULL0325 GOES-FULL0325 Polar-M010325 Polar-M020325 Polar-M040325 GOES-M040325
2005 08 26 0338 UTC – N17 Polar-FULL338 GOES-FULL0338 Polar-M010338 Polar-M020338 Polar-M040338 GOES-M040338
2005 08 26 0712 UTC – N18 Polar-FULL0715 GOES-FULL0712 Polar-M010712 Polar-M020712 Polar-M040712 GOES-M040715
2005 08 26 0737 UTC – N16 Polar-FULL0737 GOES-FULL0737 Polar-M010737 Polar-M020737 Polar-M040737 GOES-M040737
2005 08 26 0745 UTC – AQA Polar-FULL0745 GOES-FULL0745 Polar-M010745 Polar-M020745 Polar-M040745 GOES-M040745
2005 08 26 0918 UTC – N16 Polar-FULL0918 GOES-FULL0918 Polar-M010918 Polar-M020918 Polar-M040918 GOES-M040918
2005 08 26 1535 UTC – TER Polar-FULL1535 GOES-FULL1535 Polar-M011535 Polar-M021535 Polar-M041535 GOES-M041535
2005 08 26 1604 UTC – N17 Polar-FULL0604 GOES-FULL1604 Polar-M011604 Polar-M021604 Polar-M041604 GOES-M041604
2005 08 26 1830 UTC – N18 Polar-FULL1830 GOES-FULL1830 Polar-M011830 Polar-M021830 Polar-M041830 GOES-M041830
2005 08 26 1840 UTC – AQA Polar-FULL1840 GOES-FULL1840 Polar-M011840 Polar-M021840 Polar-M041840 GOES-M041840
2005 08 26 2036 UTC – N16 Polar-FULL2036 GOES-FULL2036 Polar-M012036 Polar-M022036 Polar-M042036 GOES-M042036
2005 08 26 2238 UTC – N15 Polar-FULL2238 GOES-FULL2238 Polar-M012238 Polar-M022238 Polar-M042238 GOES-M042238
2005 08 27 0314 UTC – N17 Polar-FULL0314 GOES-FULL0314 Polar-M010314 Polar-M020314 Polar-M040314 GOES-M040314
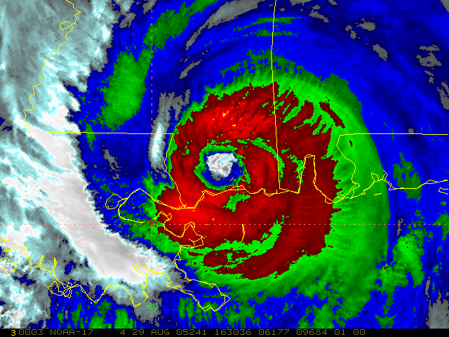
2005 08 27 0703 UTC – N18 Polar-FULL0703 GOES-FULL0703 Polar-M010703 Polar-M020703 Polar-M040703 GOES-M040703
2005 08 27 0904 UTC – N16 Polar-FULL0904 GOES-FULL0904 Polar-M010904 Polar-M020904 Polar-M040904 GOES-M040904
2005 08 27 1106 UTC – N15 Polar-FULL1106 GOES-FULL1106 Polar-M011106 Polar-M021106 Polar-M041106 GOES-M041106
2005 08 27 1537 UTC – N17 Polar-FULL1537 GOES-FULL1537 Polar-M011537 Polar-M021537 Polar-M041537 GOES-M041537
2005 08 27 1615 UTC – TER Polar-FULL1615 GOES-FULL1615 Polar-M011615 Polar-M021615 Polar-M041615 GOES-M041615
2005 08 27 2004 UTC – N18 Polar-FULL2004 GOES-FULL2004 Polar-M012004 Polar-M022004 Polar-M042004 GOES-M042004
2005 08 27 2021 UTC – N16 Polar-FULL2021 GOES-FULL2021 Polar-M012021 Polar-M022021 Polar-M042021 GOES-M042021
2005 08 27 2357 UTC – N15 Polar-FULL2357 GOES-FULL2357 Polar-M012357 Polar-M022357 Polar-M042357 GOES-M042357
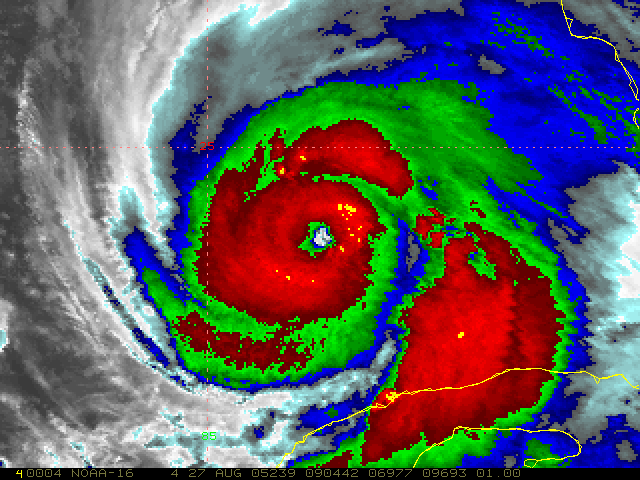
2005 08 28 0433 UTC – N17 Polar-FULL0433 GOES-FULL0433 Polar-M010433 Polar-M020433 Polar-M040433 GOES-M040433
2005 08 28 0730 UTC – AQA Polar-FULL0730 GOES-FULL0730 Polar-M010730 Polar-M020730 Polar-M040730 GOES-M040730
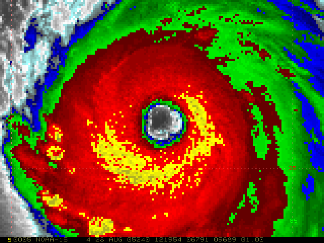
2005 08 28 0834 UTC – N18 Polar-FULL0834 GOES-FULL0834 Polar-M010834 Polar-M020834 Polar-M040834 GOES-M040834
2005 08 28 0853 UTC – N16 Polar-FULL0853 GOES-FULL0853 Polar-M010853 Polar-M020853 Polar-M040853 GOES-M040853
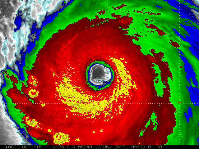
2005 08 28 1219 UTC – N15 Polar-FULL1219 GOES-FULL1219 Polar-M011219 Polar-M021219 Polar-M041219 GOES-M041219
2005 08 28 1658 UTC – N17 Polar-FULL1658 GOES-FULL1658 Polar-M011658 Polar-M021658 Polar-M041658 GOES-M041658
2005 08 28 1700 UTC – TER Polar-FULL1700 GOES-FULL1700 Polar-M011700 Polar-M021700 Polar-M041700 GOES-M041700
2005 08 28 1830 UTC – AQA Polar-FULL1830 GOES-FULL1830 Polar-M011830 Polar-M021830 Polar-M041830 GOES-M041830
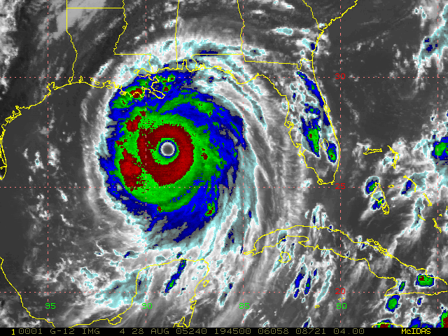
2005 08 28 1954 UTC – N18 Polar-FULL1954 GOES-FULL1954 Polar-M011954 Polar-M021954 Polar-M041954 GOES-M041954
2005 08 28 2010 UTC – N16 Polar-FULL2010 GOES-FULL2010 Polar-M012010 Polar-M022010 Polar-M042010 GOES-M042010
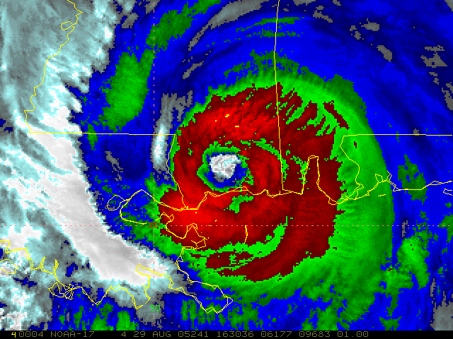
2005 08 29 0409 UTC – N17 Polar-FULL0409 GOES-FULL0409 Polar-M010409 Polar-M020409 Polar-M040409 GOES-M040409
2005 08 29 0815 UTC – AQA Polar-FULL0815 GOES-FULL0815 Polar-M010815 Polar-M020815 Polar-M040815 GOES-M040815
2005 08 29 0842 UTC – N16 Polar-FULL0842 GOES-FULL0842 Polar-M010842 Polar-M020842 Polar-M040842 GOES-M040842
2005 08 29 1158 UTC – N15 Polar-FULL1158 GOES-FULL1158 Polar-M011158 Polar-M021158 Polar-M041158 GOES-M041158
2005 08 29 1605 UTC – TER Polar-FULL1605 GOES-FULL1605 Polar-M011605 Polar-M021605 Polar-M041605 GOES-M041605
2005 08 29 1630 UTC – N17 Polar-FULL1630 GOES-FULL1630 Polar-M011630 Polar-M021630 Polar-M041630 GOES-M041630
2005 08 29 1915 UTC – AQA Polar-FULL1915 GOES-FULL1915 Polar-M011915 Polar-M021915 Polar-M041915 GOES-M041915
2005 08 29 1942 UTC – N18 Polar-FULL1942 GOES-FULL1942 Polar-M011942 Polar-M021942 Polar-M041942 GOES-M041942
2005 08 29 2003 UTC – N16 Polar-FULL2003 GOES-FULL2003 Polar-M012003 Polar-M022003 Polar-M042003 GOES-M042003
2005 08 29 2313 UTC – N15 Polar-FULL2313 GOES-FULL2313 Polar-M012313 Polar-M022313 Polar-M042313 GOES-M042313
2005 08 30 0344 UTC – N17 Polar-FULL0344 GOES-FULL0344 Polar-M010344 Polar-M020344 Polar-M040344 GOES-M040344
2005 08 30 1645 UTC – TER Polar-FULL1645 GOES-FULL1645 Polar-M011645 Polar-M021645 Polar-M041645 GOES-M041645
2005 08 30 1820 UTC – AQA Polar-FULL1820 GOES-FULL1820 Polar-M011820 Polar-M021820 Polar-M041820 GOES-M041820

Page Contact


Unless otherwise noted, all content on the CIRA RAMMB: VISIT, SHyMet and VLab webpages are released under a Creative Commons Attribution 3.0 License.